Así suena el ‘rugido’ del huracán ‘Melissa’; toca tierra en Jamaica con vientos de 300 km/h

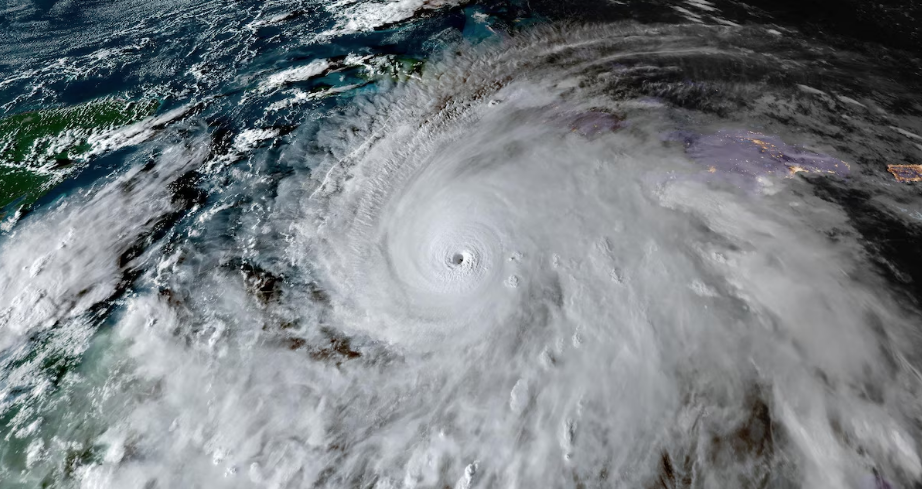
Jamaica.- El huracán ‘Melissa’, que amenaza con arrasar Jamaica y Cuba, tocó tierra durante la mañana de este martes 28 de octubre.
‘Melissa’ tocó tierra en el suroeste de Jamaica, cerca de la localidad de New Hope, y se mueve con dirección nor-noroeste a 15 kilómetros por hora, informó el Centro Nacional de Huracanes de EU (NHC, por sus siglas en inglés).
El ciclón tropical categoría 5 tiene vientos sostenidos de 300 kilómetros por hora, lo que lo convierte en el huracán más fuerte en la historia de Jamaica desde que hay registros.
“No hay infraestructura en la región que pueda soportar una tormenta de categoría 5”, declaró el primer ministro jamaicano, Andrew Holness, antes de la tormenta.“ La pregunta ahora es la velocidad de la recuperación. Ese es el desafío”.

‘Melissa’ también es el huracán más fuerte del Atlántico que toca tierra desde que el ciclón ‘Dorian’ impactó a las Bahamas en 2019, con vientos de 297 kilómetros por hora.
¿Cuál es la trayectoria del huracán ‘Melissa’?
Después de atravesar Jamaica, el ciclón ‘Melissa’ se dirigirá hacia el este de Cuba, donde se espera que también toque tierra en la tarde-noche de este martes 28 de octubre o en la madrugada del miércoles 29 de octubre. Autoridades de la provincia de Holguín evacuaron a cerca de 200 mil personas.
Informes en redes sociales y la televisión estatal mostraron autobuses azules y blancos transportando a los evacuados a un refugio. Las familias cargaron con sus bebés y pertenencias, y los ancianos se sostuvieron con bastones al desembarcar.
“Este fenómeno es muy peligroso”, declaró el viceprimer ministro Eduardo Martínez en un comunicado desde Banes. “No tiene precedentes”, afirmó sobre el huracán ‘Melissa’.

Huracán ‘Melissa’ es una ‘auténtica bestia’
Los expertos afirman que los 892 milibares de presión central del huracán ‘Melissa’ al tocar tierra igualaron dos récords diferentes para la tormenta más fuerte del Atlántico.
La medición de presión, clave para los meteorólogos, coincide con la del huracán del Día del Trabajo de 1935 en Florida. Y la velocidad del viento coincide con la del huracán de 1935 y la del huracán ‘Dorian’ de 2019, explicaron los científicos de huracanes Philip Klotzbach, de la Universidad Estatal de Colorado, y Brian McNoldy, de la Universidad de Miami.
“Ha sido una tormenta extraordinaria, una auténtica bestia”, declaró Klotzbach a The Associated Press.
Colin Bogle, asesor de Mercy Corps que trabaja en Kingston, dijo que la mayoría de las familias se refugiaron en sus hogares, esto a pesar de que el Gobierno ordenó evacuaciones en comunidades propensas a inundaciones.
Bogle se refugió con su abuela en Portmore, donde todo quedó a oscuras tras una fuerte explosión. “El ruido es incesante. La gente está ansiosa y solo intenta aguantar hasta que pase la tormenta”.
Con información de: El Financiero
CD/YC
Notas del día:
Oct 28, 2025 / 16:09
Oct 28, 2025 / 15:02
Oct 28, 2025 / 14:45
Oct 28, 2025 / 14:34
Emergencia modifica eventos tradicionales en eventos con causa por Día de Muertos 📹
Oct 28, 2025 / 14:30
El nigeriano Wole Soyinka, Nobel de Literatura, afirma que EU le anuló la visa
Oct 28, 2025 / 14:23
Entrega Unánue cancha nueva de fútbol a Primaria “Quetzalcóatl”
Oct 28, 2025 / 14:15
México y Alemania refrendan vínculos científicos
Oct 28, 2025 / 14:14
Inician en Xalapa rehabilitación de pavimento en el bulevar Europa
Oct 28, 2025 / 14:05
Llevan pláticas preventivas a escuelas de Coatzacoalcos
Oct 28, 2025 / 14:00
Iguanas de cola espinosa llegaron hace 425 mil años a la isla Clarión
Oct 28, 2025 / 13:57
Invitan en Coatzacoalcos al Encendido del Fuego Nuevo de Chickaban
Oct 28, 2025 / 13:50
Giran orden de aprehensión a Jesús Martínez Patiño, presidente de Grupo Pachuca











